Dam Rehabilitation to Prevent Leakage
As storm damage becomes more severe and has occurred more frequently in recent years, addressing the needs to repair essential infrastructure and dam rehabilitation is also becoming more common. However, deep foundation experts and others may find themselves working with restraints on the repair of essential infrastructure due to funding and environmental compliance requirements.
Rehabilitated Upper Candor Dam in spring 2019As an example, the historic Upper Candor Dam, located in the Southern Tier Region of New York State, was damaged during extreme flooding associated with Tropical Storm Lee. The 2011 flooding resulted in a significant increase in uncontrolled seepage under, around and through the dam. If not remediated, dam failure was possible due to the progressive loss of soil along the seepage paths (piping), a loss that accelerates as the flow paths widen and allow for greater velocities.
Assessing the potential for failure and evaluating rehabilitation alternatives was difficult as there were no record documents depicting the internal structure of the dam and its foundation. The challenge was how to rehabilitate a dam without adversely impacting the existing, unknown and unpredictable structure. As outlined in this article, implementation of sheet piles was chosen to mitigate the risk while reducing the likelihood of seepage to prestorm magnitudes, and making the dam safe from pipingrelated failure.
Dam History
May 2012 discharge over the dam’s preconstruction crestThe dam was later fully encapsulated with a timber pile-supported continuous concrete spillway, an upstream concrete apron and a downstream splash apron comprised of large stone slabs. Prior to the storm, the Town of Candor had occasionally noted small, telltale whirlpools in the upstream water surface and sporadic loss of streambed in proximity to the crest. The dam was last repaired in 1997 to patch those precursor events and to replace portions of the concrete that encapsulated the older structure and served as the spillway.
Restoring the dam’s subsurface stability would clearly promote downstream safety, but so would removal of the dam. Catatonk Creek has a very shallow gradient of 5 ft/mi (0.95 m/km). Uncontrolled loss (or elective decommissioning) would have altered over 1,500 upstream meters (0.06 mi2 [141,640 m2]) of river habitat that had established over more than 100 years.
This habitat was already subject to protective seasonal work limitations, and New York State Department of Environmental Conservation (NYSDEC) further requested studies of three species of freshwater mussels and the inclusion of a fish passage. The Federal Emergency Management Agency (FEMA) ultimately declined to fund a fish passage, so that element was removed. With dam removal presenting a broad, dramatic and adverse impact to the area, preservation of the dam structure and the environment upstream became the principal goal.
Structural Investigation
Water pouring through, below and downstream of the structure’s damaged dry faceTo evaluate appropriate and cost-effective means of remediating the dam, a subsurface investigation consisting of test holes and borings was performed through the concrete cladding above the spillway to identify the composition of the dam and the underlying soils. Although a clay core had reportedly existed, this condition was not observed. Substantial voids were encountered within the upper zone of the dam. The soils consisted of bedded river deposits (gravelly sand and sandy gravel) with a localized deep zone of clay-dominated soils. Cobbles were noted at depth, and numerous cobbles and boulders were observed at the surface.
The state of the structure was thus confirmed to be unpredictable, and remediation was required. The storm was declared a federal disaster in September 2011, and the town applied for funding through FEMA. FEMA ultimately agreed the storm had dramatically exacerbated the seepage and destabilized the dam, but was only willing to fund the repairs required to mitigate seepage.
Remediation Approach

Key parameters in the design of the sheet pile cutoffs were the required depth and lateral extents of the piling. As the investigation did not identify the presence of a continuous, low permeability soil layer in which to embed the sheet piling, the design was based on the combination of identifying the point of diminishing return on the installation cost and ensuring that seepage was reduced to a safe magnitude where global stability returned.
Installing downstream sheet pile cutoff wallThe NYSDEC commonly requires a detailed dam stability analysis when approving work permits. The previous repair work documents from 1997 were reviewed, but no recollection or record of interior conditions was found. To develop an analysis sufficient to grant a construction permit warranted knowledge of the dam interior. Subsurface testing within the dam was limited, however, and could only be completed to the threshold where a permit did not have to be granted by the NYSDEC to complete said testing. A separate NYSDEC permit to allow destructive testing sufficient to confirm the reputed complex, heterogeneous interior was impractical to obtain. The team was thus presented with a catch-22 scenario: an invasive investigation permit would require a stability analysis that could not be prepared without the subsurface investigation. This investigation permit would have further required constructing an expensive cofferdam upstream in addition to the selective demolition and reconstruction costs associated with the investigation.
Completed south crest sheet piling and apron extensionAnalyses were performed to evaluate the impact of soil and water load transfer from the sheet pile seepage control to the existing dam structure. These analyses were performed using the computer program PYWall (by Ensoft), which incorporates the finite difference method. The load transferred to the existing dam was evaluated by adding a line load at the top of the sheet piling in the upstream direction of such magnitude to initiate upstream displacement of the sheet pile, knowing the load transferred to the dam would be less than this magnitude. The analyses showed that load transferred to the dam would be less than 5 lb/ft (7.44 kg/m) width of dam, a magnitude the dam was anticipated to safely tolerate. Therefore, the new upstream seepage structure was not a threat to the stability of the existing dam structure.
A finite element analysis was required to model the complexities of the seepage around the structure. The analysis and design were performed using the Midas Information Technology software package NTS GX. Due to the variable soil conditions, and consequently, the variable soil permeability represented beneath and around the dam, the analyses were performed using an assumed average permeability of the encountered soils. Analyses for below-dam seepage were performed with a two-dimensional model for sheet piles driven to depths ranging from 15 to 30 ft (4.6 to 9.1 m) below the top of the upstream concrete cladding at 5 ft (1.5 m) increments. Analyses for around-dam seepage were performed using a three-dimensional model with a similar approach, with sheet piling being extended laterally to a distance of up to 30 ft (9.1 m) beyond the abutments at 10 ft (3 m) increments.
Completion of dam seepage control, without causing a visual impactAnother consideration in selecting the sheet pile length was awareness of coarse gravel and cobbles existing within the alluvial soils, and of boulders that were observed to exist at least at the surface. The longer the sheet piling, the greater the chance of encountering these oversized materials that might damage the sheet pile interlock and render the cutoff ineffective. Fifteen foot (4.6 m) cutoffs were selected to minimize the possibility of damaging the interlocks. The estimated 50% seepage decrease was considered to be in line with prestorm event magnitudes, and to reduce the seepage magnitude at the dam to a level that could be considered safe against a piping-related breach.
The around-dam seepage case was evaluated for the cases of no lateral cutoff, and then for the noted 10, 20 and 30 ft (3, 6.1 and 9.1 m) wide lateral cutoffs. The bottom elevation of the sheet piles was maintained from that of the under-dam seepage analyses. The analyses showed that a 10 ft (3 m) lateral extension resulted in an approximately 23% reduction in around-dam seepage, and that a 20 ft (6.1 m) lateral extension would result in an approximately 58% reduction in around-dam seepage. The case of a 30 ft (9.1 m) lateral extension showed a comparatively minor decrease in around-dam seepage from that of the intermediate length lateral cutoff case. Based on the analyses, extending the seepage cutoffs 20 ft (6.1 m) laterally beyond the dam structure was selected. Due to conservative simplifications made in the model, this was anticipated to decrease around-the-dam seepage volume well in excess of 60%. This was determined to be a seepage volume that was both safe against the development of piping-induced dam breaches and to be defendable as a magnitude similar to that anticipated to have existed prior to Tropical Storm Lee.
Dam Rehabilitation
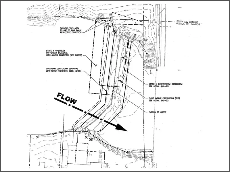
Construction of south cofferdam, upstreamConstructing a cofferdam for a 122 mi2 (316 km2) watershed to permit two-stage construction presented a risk to the construction timeline. Provisions were included in the contract to halt work and remove in-stream temporary facilities should a large storm occur upstream. Portadams were utilized, which are able to be installed and removed in a very short amount of time. Sure enough, a state of emergency declaration was made in September 2018, during Stage 1 of the project; this resulted in a 2-week delay in project completion. The portadams were able to be lowered and obstructions removed from the flow path prior to the storm event, with no loss of constructed improvements as a result.
Conclusion
High water through the construction site, August 2018After the final upstream sheeting was locked into place on the south abutment, the downstream south apron work was completed without local dewatering. In May 2019 when the final vegetative establishment inspection was performed, a dramatic reduction in seepage was evident and judged to have significantly outperformed modelled targets.
Acknowledgements
Continuous dialogue between all stakeholders was vital to project success. Besides FEMA, this included the New York State Department of Homeland Security and Emergency Services, Department of Environmental Conservation, and Department of Transportation, municipalities of Town of Candor (owner), and Village of Candor, adjacent landowners (required for temporary easements so construction materials and equipment could reach the dam), construction contractor R. DeVincentis Construction, and design and support professionals.Christopher Burke, Ph.D., P.E., P.M.P., is manager of geotechnical services at Tectonic. He has over 24 years of geotechnical engineering experience, including management of site investigations, engineering evaluations, and geotechnical reports for the design and construction of buildings, roads, earth dams and more.
Mark Lukasik, P.E., is vice president and manager of civil engineering at Tectonic, with over 24 years of civil engineering experience, and oversees the preparation, coordination, management and presentation of capital designs for state, county and municipal clients, focusing on water resource transportation and land planning projects.
George Murphy, P.E., P.G., is engineering manager and senior geotechnical engineer at Tectonic. He has over 29 years of engineering, geology and geotechnical experience. Well versed in rock mechanics, Murphy has conducted numerous investigations and prepared designs for remediation for a variety of geologic hazards.
Published on:
Published in: NBM&CW - February 2024
Share:
We Value Your Comment




